Виноград Дойна
Выбирая подходящую культуру для изготовления вина, садовод обращает внимание не только на вкусовые качества сорта, но и на ее технические характеристики, от которых напрямую зависит возможность вырастить данный виноград у себя на участке. Самыми универсальными принято считать гибридные формы винограда, поскольку при селекции они получают сочетание наилучших свойств своих родителей
Самыми важными для сурового климата России и Украины являются такие качества, как устойчивость к низким температурам, иммунитет к полевым заболевания (что позволяет выращивать лозу без химической обработки), отсутствие склонности к гниению и растрескиванию. Обладая этими базовыми показателями, сорт обычно называется техническим или винным, то есть пригодным в первую очередь для изготовления вина. Технический виноград также является сырьем для производства вторичных продуктов – изюма, соков, компотов. Среди винных сортов особую популярность получил дойна, имеющий ряд отличительных преимуществ перед своими собратьями.
Происхождение сорта
Дойна был выведен путем совместной работы молдавских виноделов Кишиневского сельскохозяйственного института и института «Виерул». Родителями для него стали гибрид Сеянца №35 с Варуссе и Молдавский. Основной целью его селекции было увеличение показателей морозостойкости и сохранение высокой урожайности лозы.
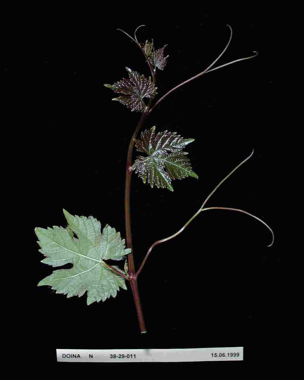
Внешние качества
Лоза этого сорта имеет чрезвычайно красивые среднерассеченные гладкие листья округлой формы и ярко зеленого цвета, без опушения. Они придают кусту особый блеск. Прожилки некоторых листьев иногда несут антоциановый оттенок. Растение обладает открытой черешковой выемкой с заостренной формой дна и обоеполым цветком.
Ягода дойны не очень крупная, округлой или эллептической формы, синего или темно-фиолетового цвета. Масса ягоды в среднем около 2,5 грамм. Кожица очень тонкая, с легким восковым налетом на поверхности. Внутри скрывается обычно не более двух крупных зернышек, легко отделяемых от мякоти. Мякоть обладает нейтральным и сочным вкусом. Ягоды собираются в грозди повышенной плотности цилиндрической формы, однако среднего размера. Вес одной грозди доходит до 350 грамм. Особенностью грозди являются укороченные плодоножки.
Все технические сорта характеризуются большим количеством получаемого сока, однако сахаристость дойны невысокая – до 20г/100см3, средняя кислотность 8-9г/л. Несмотря на это, получаемое вино имеет высокие вкусовые показатели среди столовых видов.
Техническое особенности
Главным преимуществом сорта является его высокая урожайность, доходящая до 190 ц/га. Средний куст за год приносит около 8 кг ягод. Срок жизни этого растения около 5 лет.
Дойна имеет повышенную устойчивость к морозам, может переживать зиму без укрытия. Имеет высокий корневой иммунитет и групповую устойчивость к большинству полевых заболеваний, таким как серая гниль, милдью, филлоксера и оидиум. Степень поражения 1,5-2 балла. Склонен к сильной поражаемости от антракноза (5 баллов).
Кусты этого растения крайне рослые. Вызревание побегов удовлетворительное, более 70% от первоначальной посадки, длина побега в среднем 280см, вызревает примерно на 2/3 длины. Рекомендуется следующая формировка при посадке и питании 3х2 – кордон горизонтальной формы с двумя сторонами, располагающийся на высоком штамбе. Почву для этого куста лучше брать супесчаную и суглинистую (чернозем). Рекомендуется короткая обрезка лозы на 3-4 глазка.
Дойна является сортом позднего созревания, приносит первые плоды только к середине августа, через 150-160 дней после первого созревания почек, которое наблюдается только к концу апреля. Техническая зрелось такого урожая наступает во второй половине сентября.
Виноград дойна станет прекрасным сырьем для производства белого вина нейтрального вкуса, соков и вторичного винного продукта. Также превосходно употребляется в пищу в сыром виде. Сорт является универсальным и крайне урожайным, поэтому отлично подходит для выращивания как профессионалами, так и любителями винограда.
Применение в медицине
Очень эффективен отвар из коры растения с медом и облепиховым маслом при простудных заболеваниях. Напиток можно принимать как средство для профилактики таких недугов. При болях в горле калиновым отваром полощут горло или делают компрессы. Сок ягод помогает при кожных болезнях, фурункулах, дерматитах. Отвар, приготовленный из цветов, эффективен при потере голоса и пародонтозе. При кровотечении из носа нужно смочить ватные тампоны в отваре и вставить в ноздри. Частое употребление плодов в пищу является хорошей профилактикой онкологии.
Широко применяется ягода в косметологии, из нее делают маски, тоники, средства для умывания, скрабы, шампуни. Кожа после использования средств с калиной становится более бархатистой, помолодевшей и увлажненной.
Калина справляется с различными недугами человеческого организма:
- эндокринные заболевания
- мастопатия
- тяжелый климакс
- маточные кровотечения
- нерегулярный менструальный цикл
- болезненные менструации
- ангина
- гипертония
- бронхит
- острый тонзиллит
- головные боли
- болезни сердца
- кожные заболевания
- истерия и невроз
- лихорадка
- простуда
- геморрой
- одышка
- грипп
- склероз
- сильный сухой кашель
- экзема
- диатез
Описание сорта
| Назначение сорта | универсальный |
| Форма грозди | цилиндрическая |
| Масса грозди | 200-350 грамм |
| Форма ягод | продолговатая |
| Цвет ягод | темно-фиолетовый |
| Морозостойкость сорта | до -24 ºС |
| Вкус | приятный, сладкий |
Виноград Дойна относится к средне-поздним сортам. Созревает примерно за 160 дней, после распускания почек. Морозоустойчив, выдерживает температуру до -24, без накрытия. Не требует частого опрыскивания, так как этот сорт отличается хорошим иммунитетом. Урожайности этого сорта, стоит только позавидовать, так как, с одного гектара можно собрать до 200 центнеров спелых ягод. Имеет грозди цилиндрической формы, каждая, примерно 200-350 грамм. Ягоды тёмно-фиолетового цвета. В каждой ягодке находятся два семени. К концу сентября, в одной ягоде содержится до 20% сахара. В основном этот сорт используют для изготовления соков и вина. Можно употреблять свежим.
Способы выращивания и ухода
Подготовка почвы и посадка
Перед посадкой винограда Дойна необходимо подготовить почву. Виноград предпочитает хорошо дренированные почвы с нейтральной или слабокислой реакцией. Рыхлая и плодородная почва с высоким содержанием органического вещества будет идеальной для его роста.
Выбирайте солнечное место для посадки, чтобы виноград получал достаточно света. Посадку проводят весной или осенью. Делайте под каждое растение яма глубиной и шириной около 60 см. Затем устанавливайте саженцы, оставляя между ними расстояние 1-1,5 метра.
Уход за виноградом

После посадки винограда следует обеспечить ему правильный уход. В первом году регулярно поливайте растение, подкармливайте органическими или минеральными удобрениями. Контролируйте сорняки и удаляйте их, чтобы они не конкурировали с виноградом за питание.
В последующие годы также следите за поливом растения. Оптимальная влажность земли поможет винограду развиваться и приносить обильный урожай. Раз в год проводите обрезку виноградной лозы, удаляя слабые и старые побеги. Это позволит растению раскрыться и поддерживать его здоровье.
Также регулярно проверяйте растение на наличие болезней и вредителей. При необходимости проводите мероприятия по защите винограда от вредных организмов. Если вы заметили, что листья стали желтыми или на них появились пятна, обратитесь к специалисту, чтобы быстро решить проблему.
Следуя этим простым способам выращивания и правилам ухода за виноградом Дойна, вы сможете получить красивое и вкусное виноградное растение, которое будет радовать вас своим урожаем.
Лучшие сорта винограда в Башкирии и Удмуртии
Знаменитые гибриды Шарова, Памяти Домбковской и Коринка русская выделяют самыми первыми для зоны рискованного земледелия в Башкирии и Удмуртии. Полностью вызревают и не страдают от возвратных заморозков суперранние и сорта со средним сроком созревания: Супер экстра, Алладин, Подарок Саратова, Байконур, Ливия, Монарх.
Не редкость — Кишмиш лучистый, Румба и Фиолетовый ранний. Рабочими сортами считаются урожайные гибриды Кодрянка и Чарли.
Фотогалерея: некоторые самые лучшие сорта Башкирии и Удмуртии
Виноград с давних времён ценят за его полезные свойства, приятный вкус и разнообразие сортов. Он поражает своей стойкостью к окружающим изменениям, и просто является красивой, вкусной ягодой.Каждый сорт созревает определенный срок.
Описание и краткая характеристика лучших технических (винных) сортов винограда
Технические сорта винограда независимо от сроков созревания — это сырьё для виноделия
. В зависимости от интенсивности окраски и размеров плодов виноград применяют для приготовления вин и коньячных напитков (розовоплодные и чёрные сорта винограда чаще), для компотов, варенья, джемов; для приготовления изюма, цукатов, концентрированных соков — как белые, так и тёмные сорта винограда.
Самый распространённый и широко известный столово-технический сорт — виноград Изабелла.
Фиолетово-синие, круглые ягоды, плотно сидящие на грозди, отличаются высокой урожайностью — до 50 кг с куста. Сочные, некрупные плоды со специфичным изабельным ароматом (чаще это ягодно-освежающий вкус) созревают через 140–160 дней. Сильнорослому кусту требуется короткая обрезка (на 5 почек) и солнечный, защищённый от ветров участок. В целом винный сорт Изабелла нетребователен и устойчив ко многим болезням. 16 -17 % — сахар, 5–6 г/л — кислота — в составе мякоти плодов сорта Изабелла. Даёт отличный урожай в Центральной России, на Урале, в Удмуртии, Башкирии.
Технический сорт Изабелла
Ещё один сорт, предназначенный для виноделия, Веста, ценят за отличную зимовку без укрытия и высокие урожаи даже в холодное, сырое лето.
Сахаристость — 25%, кислота — 7 г/л. Сине-фиолетовые ягоды формируют умеренно плотные грозди, весом до 250 г. Сок не окрашен, мякоть сочная. Обрезка на 4 почки. Виноградная лоза сильнорослая. Сорт культивируют для приготовления красного столового вина.
Плотные грозди винного сорта Веста
Платовский — сорт винно-десертного винограда, используемого для приготовления столовых вин.
Гибрид в средней полосе России и на Дальнем Востоке радует удивительным урожаем уже на 115–135 день от начала вегетации. Ягоды белые с зелёным оттенком, круглые, сочные, грозди небольшие (200 г), очень плотные. Сахаристость — 20%, кислотность — 6 г/л. Обрезают виноградную лозу достаточно коротко (на 3–4 глазка), на зиму рекомендуется укрывать только в зоне рискованного земледелия (Сибирь, Дальний Восток, Урал).
Белоплодный технический сорт винограда Платовский
Белоплодный сорт позднего срока созревания Первенец Магарача формирует грозди до 200 г, ценится за гармоничный, приятный вкус, нежную кожицу.
Ягоды белые, круглые, кисти — вытянутые, рыхлые. Сахар — 22%, кислота — 8 г/л. Вино из Первенца светлое, с лёгким мускатом и фруктовыми нотами. Прямостоячий мощный куст с ажурной кроной не укрывают на зиму и зачастую применяют как беседочную культуру.
Внешние качества

Лоза этого сорта имеет чрезвычайно красивые среднерассеченные гладкие листья округлой формы и ярко зеленого цвета, без опушения. Они придают кусту особый блеск. Прожилки некоторых листьев иногда несут антоциановый оттенок. Растение обладает открытой черешковой выемкой с заостренной формой дна и обоеполым цветком.
Ягода дойны не очень крупная, округлой или эллептической формы, синего или темно-фиолетового цвета. Масса ягоды в среднем около 2,5 грамм. Кожица очень тонкая, с легким восковым налетом на поверхности. Внутри скрывается обычно не более двух крупных зернышек, легко отделяемых от мякоти. Мякоть обладает нейтральным и сочным вкусом. Ягоды собираются в грозди повышенной плотности цилиндрической формы, однако среднего размера. Вес одной грозди доходит до 350 грамм. Особенностью грозди являются укороченные плодоножки.
Все технические сорта характеризуются большим количеством получаемого сока, однако сахаристость дойны невысокая – до 20г/100см3, средняя кислотность 8-9г/л. Несмотря на это, получаемое вино имеет высокие вкусовые показатели среди столовых видов.
Лучшие сорта винограда на Украине
Мягкий, южный климат и длинное, жаркое лето позволяет выращивать самые разные сорта среднего, раннего и позднего винограда для использования в свежем виде, приготовления вина, соков, компотов, цукатов.
Аркадия, Ливия, Восторг, Юлиан, Кодрянка — поспевают в середине июля. Мария Магдалина, Сфинкс, Чарли с крупными тёмно-фиолетовыми гроздями — популярные ультраранние сорта; следом созревают гибриды со светло-зелёными плодами — Богатяновский, Арамис, Ванюша, Ланселот, Любимый. В начале августа созревает Одесский сувенир, Сигма, Ромео, Страшенский. И под занавес лета собирают богатый урожай десетрных сортов Заграва, Сентябрина, Молдова; винных гибридов — Родничок, Изабелла, Альфа.
Сорта винограда восточно-азиатской группы
Сорта винограда вид Виноград амурский
Александр – кисть средняя, цилиндрическая, ветвистая.
Башкирский Ранний — обладает повышенной устойчивостью к заболеваниям и вредителям.
Виктория — кисти большие и очень большие.
Выдвиженец — с повышенной устойчивостью к заболеваниям и морозу.
Выносливый — устойчивость к милдью и серой гнили повышенная.
Заря севера — кисти среднего размера, в форме конуса, цилиндров форме конуса, плотные и среднеплотные.
Золотистый устойчивый — мякоть сочная, вкус гармоничный, приятный, свежий.
Кадарка — кисть средняя, цилиндроконическая.
Коринка Мичурина — используется как ценный морозоустойчивый подвой и для селекционной работы.
Металлический — c повышенной устойчивостью к заболеваниям и высокой к морозу.
Негру де Яловень — кисти в форме конуса, довольно плотные и плотные.
Ранний Магарача — виноматериалы используются в купаже.
Северный — мякоть недостаточно сочная, слизистая, специфического вкуса.
Фиолетовый ранний — трехлопастные, с пузырчатой поверхностью листья; средней величины, в форме конуса, рыхлые кисти; округлые, темно-фиолетовые небольшие ягоды с сильно выраженным мускатным привкусом; длинные гребненожки.
Чарас — отличается высокими вкусовыми качествами с приятным сочетанием сахаристости и кислотности.
Шабский — кисти черного средних размеров и плотности, конической формы.
Шахиня Ирана — кисти цилиндров форме конуса довольно плотные, часто рыхлые.
Сорта винограда Куанье или Кемпфера, виноград японский
Аврора — оболочка достаточно тонкая, съедаемая.
Аки Куин (Хрустальная роза) — оболочка жесткая, плотная, мякоть сочная, во вкусе выражены фруктовые тона (лабруска).
Золотой палец — вкус сложный, с карамельными и фруктовыми тонами, легкий аромат лабруски присутствует.
Идзу Нишики — вкус сложный, с мускатными и изабельными тонами.
Косю — ягоды среднего размера, лиловые или светло-бордовые, в Японии их называют «серый виноград».
Роуз квин — кисти среднего размера, в форме цилиндра, плотные.
Руби Роман — чрезвычайно крупноягодный.
Санни руж — мякоть сочная, оболочка плотная, вкус насыщенный фруктовый.
Сето Гигант — ягоды очень большие, слабо овальные или приплюснутые, дольчатые – каждая ягода разделена перетяжкой на 2-4 сегмента.
Супер Гамбург — оболочка толстая, мякоть сочная, немного слизистая, вкус изабельный.
Такасаго — кисти среднего размера, в форме конуса, ветвистые, рыхлые.
Шинано Смайл — кисти большие, в форме конуса.
Уход
Правильный уход позволяет получать стабильный и богатый урожай ягод
При выращивании этого сорта следует обращать внимание на следующие моменты:
- несмотря на высокие показатели морозостойкости, после уборки урожая осенью требуется снимать куст со шпалеры и укрывать на зиму;
- требуется проводить регулярные профилактические обработки от болезней и вредителей. Из-за большого содержания сахара в ягодах, на плодах часто появляются осы, поэтому требуется защищать гроздья;
- регулярно нужно проводить длинную обрезку так, чтобы на одном кусту оставалось не более 33 глазков в общей сложности на 22-24 побегах;
- необходимо внесение минеральных и комплексных удобрений для усиления роста и достижения высокой урожайности.
Еще в момент посадки необходимо продумать подземную дренажную систему полива, чтобы обезопасить куст от засухи и переувлажнения. Подобный способ внесения воды оптимален для всех сортов винограда.

Рекомендуют закрывать кусты пленкой от дождя и не заливать посадки.
Профилактика болезней
У сорта наблюдается средний уровень устойчивости к болезнями и вредителям. Чтобы избежать заражения, нужно регулярно удалять избыток листвы, поскольку именно она подвержена инфекциям. Куст имеет высокое сопротивление милдью, а также почти полный иммунитет против клещей. При несоблюдении агротехник возможно заражение оидиумом
При появлении первых признаков заболеваний винограда важно провести полную обработку посадки системным или контактным фунгицидом или инсектицидом
Обрезка
Как и сорта Преображение, Ливия, виноград Долгожданный нуждается в постоянной обрезке. Как правило, процедуру проводят весной или осенью. Рекомендуется длинная обрезка, примерно на 8-10 глазков. Из-за склонности к некоторым заболеваниям после процедуры место среза нужно обработать, а также использовать острый и чистый инструмент.
Описание сорта
Виноград Долгожданный – известный гибридный сорт столового назначения. Он выведен непрофессиональными отечественными селекционерами путем скрещивания кишмиша Лучистого и винограда Талисман. Полученный виноград перенял все лучшие характеристики родительских сортов, а в отношении некоторых показателей даже превзошел их.
Долгожданный виноград сегодня активно выращивают в регионах средней полосы России и ближнего зарубежья. Кроме того он часто используется в качестве привоя для прививки более продуктивных сортов, имеет хорошую совместимость с другими гибридами. Про сорт винограда Анюта читайте тут.

Опытные садоводы ценят виноград Долгожданный за удивительное сочетание крупных ягод и небольшой показатель твердых косточек, которые могут совсем отсутствовать или развиваться не более 2 штук на виноградинку.
Вопрос-ответ:
Какие характеристики имеет сорт винограда Дойна?
Сорт винограда Дойна характеризуется средним сроком созревания плодов, которые имеют красный или розовый окрас. Виноград Дойна отличается отменным вкусом и ароматом, его ягоды среднего размера и покрыты плотной кожицей.
Какие особенности ухода и выращивания имеет виноград Дойна?
Для выращивания винограда Дойна необходимо выбрать солнечное место, защищенное от ветра. Саженцы следует регулярно поливать и подкармливать, выполнять обрезку веток и формирование куста
Важно следить за состоянием почвы и регулярно пропалывать сорняки. Также необходимо проводить профилактику от болезней и вредителей
Какие фото винограда Дойна можно найти в интернете?
В интернете можно найти множество фотографий винограда Дойна. На них изображены ветви с ягодами, кусты созревающего винограда, а также отдельные плоды с бокаликом. Фото позволяют более детально рассмотреть характеристики и особенности сорта Дойна.
Поделитесь отзывами о винограде Дойна.
Отзывы о винограде Дойна в основном положительные. Выращивание данного сорта считается достаточно простым и уход за ним не требует особых усилий. Ягоды отличаются великолепным вкусом и ароматом, мякоть сочная и сладкая. Отзывы также отмечают хорошую урожайность и устойчивость к болезням.
Где можно купить саженцы винограда Дойна?
Саженцы винограда Дойна можно приобрести в специализированных магазинах по продаже садовых растений или заказать их онлайн. Также саженцы можно купить у других садоводов или через объявления на специализированных форумах
Важно выбирать качественные и здоровые саженцы для успешного выращивания винограда Дойна
Лучшие сорта винограда в Башкирии и Удмуртии
Знаменитые гибриды Шарова, Памяти Домбковской и Коринка русская выделяют самыми первыми для зоны рискованного земледелия в Башкирии и Удмуртии. Полностью вызревают и не страдают от возвратных заморозков суперранние и сорта со средним сроком созревания: Супер экстра, Алладин, Подарок Саратова, Байконур, Ливия, Монарх.
Не редкость — Кишмиш лучистый, Румба и Фиолетовый ранний. Рабочими сортами считаются урожайные гибриды Кодрянка и Чарли.
Фотогалерея: некоторые самые лучшие сорта Башкирии и Удмуртии
Довга
— ультраранний столовый сорт винограда с высоким качеством ягод, очень вкусный мускатный сорт. . Автор профессор (Латвия). Это название селекционер Гунвальдис Весминьш дал этому сорту в честь своей любимой внучки Ксении Довганской. Она — по образованию врач, красавица и большая умница, и вовсе не убеждена в положительном влиянии вина на мозг человека, Эта позиция для нее спорная, НО дедушку-она очень любила)) Дай Бог ей счастья и здоровья.
Происхождение сорта Довга основано на многоступенчатом скрещивании европейского и амурского винограда по аналогии с сортами и . А точнее Dovga- new high quality muscat Breeder:Gunvaldis Vēsmiņš, Moldova/Latvia (S68 x Chiljaki Belij) x (S3 45 x Pearl of Szaba)}
Поздние сорта винограда
Поздние сорта созревают от 145 дней и больше, в конце сентября и до середины октября.
Тайфи
Изумительный розовый виноград, который долго культивировали в Узбекистане. Крупные продолговатые ягоды отливают фиолетовым цветом и как будто бы слегка хрустящие – за счет толстой кожицы.
Фото: agrogroup.uz
Ред Глоуб
Столовый виноград родом из Калифорнии, который сразу выделяется большими красными ягодами. У них очень сочная, мясистая и очень вкусная мякоть с умеренной сладостью.
Фото: mutlupaket.com
Дачный
Классический виноград из Молдовы с крупными гроздьями на интенсивно растущем кусте. Ягоды большие, насыщенного фиолетового цвета с легким черносливовым послевкусием.
Фото: distano.ru
Молдова
Самый популярный сорт из Молдовы с коническими кистями до 400 г весом. Сладкие ягоды с легкой кислинкой покрыты плотным восковым налетом поверх лиловой кожицы.
Фото: vsesorta.ru
Анюта
Сорт примечателен большими и рослыми гроздьями весом до 1,5 кг. Ягоды очень большие и мясистые, и одна штука может сама по себе весить до 20 г.
Фото: kmn.moisadovod.ru
Дойна
Дойна — новый сорт винограда универсального назначения, большой силы роста, среднепозднего периода созревания. Грозди средние (220 г), ягоды овальные, темно-фиолетовые. Кожица тонкая, прочная, мякоть сочная, сок не окрашен. Плодоносных побегов 80-85%, коэффициент плодоношения 1,2, плодоносности 1,6. Вызревание побегов хорошее, урожайность высокая и постоянная, сахаристость 16-18%, кислотность 8,6 г/л. Сорт отличается хорошей регенерационной способностью. Наиболее ценным свойством сорта является его повышенная устойчивость к милдью, серой гнили, оидиуму, филлоксере и к морозу, В определенные годы (в дождливые сезоны) листья и грозди поражаются антракнозом. Рекомендуется раннее опрыскивание кустов 1%-ной бордоской жидкостью (1-2 обработки). Сорт следует размещать на легких супесчаных и суглинистых черноземах. Для ускорения созревания предпочтительны теплые склоны. Культура винограда неукрывная штамбовая. Рекомендуется двуплечий кордон высотой 1,2 м со свободным расположением прироста. Схема посадки кустов 3 х 1,75 -2 м. Длина обрезки плодовых стрелок на уровне 4-6 глазков. Нагрузка кустов должна быть умеренной, в пределах 100-120 тыс. глазков/га. Лучшими подвоями являются Р х Р 101-14 и Кобер 5ББ. Сорт толерантен к филлоксере и может возделываться в корнесобственной культуре. Урожай используется для потребления в свежем виде, для производства соков и столовых виноматериалов.
В условиях совхоза-завода «Башканский» Криулянского района при возделывании сорта Дойна в неукрывной штамбовой культуре при длине стрелок 6-7 глазков и нагрузке на куст 65-70 глазков урожайность в среднем за 1981-1983 гг. составила 229 ц/га, сахаристость — 17,3%, кислотность-8,6 г/л. Экономическая эффективность в расчете на I га составила 7122 р., уровень рентабельности 310%. Для повышения выхода товарной продукции, улучшения качества урожая уровень нагрузки следует устанавливать в пределах 50 глазков/ куст, а длину обрезки около 4-6 глазков. Показатели экономической эффективности при этом останутся достаточно высокими.
Сорта винограда северо-американской группы
Вид Лабруска
Зейбель — высоко устойчив к грибным заболеваниям и морозу.
Изабелла розовая (Лидия розовая) — ягоды со слизистой мякотью и специфическим запахом, созревают поздно.
Катавба — высокая кислотность в условиях северного виноградарства.
Конкорд — с высокой устойчивостью к заболеваниям и морозу.
Красное Пламя — бескостный.
Ноа — мякоть слизистая, с изабельным привкусом.
Превосходный — сладкий, крупный и хрустящий.
Прекрасная полночь — бескостный, очень крупный.
Томкорд — гибрид популярного винограда Томпсон бескостный и винограда Конкорд.
Томпсон — бескостный.
Шарлотта — бескостный.
Вид Рипариа
Бако Нуар – вино среднего тела, с глубоким оттенком.
Буйтур — встречается в районах северного виноградарства как морозоустойчивый подвой.
Маршал Фош — созревает рано, морозостойкий и устойчивый к грибковым заболеваниям.
Триумф д’Эльзас – виноградная лоза очень крепкая, быстро растет даже в прохладном климате.
Фронтенак — рыхлые кисти темных, очень кислых ягод с высоким содержанием сахара.
Варюшкин сорт винограда
- Варюшкин — старинный донской технический сорт винограда среднепозднего периода созревания.
- Относится к эколого-географической группе сортов бассейна Черного моря.
- Листья средние, глубокорассеченные, слегка сетчато-морщинистые, снизу частично опушенные.
- Верхние боковые вырезки и черешковая выемка со шпорцей.
- Цветок обоеполый.
- Грозди средней величины, конические, крылатые, средней плотности.
- Ягоды средние, округлые, черные, с густым восковым налетом. Кожица толстая. Мякоть сочная.
- Вкус гармоничный.
- Период от начала распускания почек до технической зрелости винограда 140-150 дней при сумме активных температур около 3000°С.
- Кусты среднерослые.
- Вызревание побегов хорошее.
- Урожайность 50-80 ц/га.
- Зимостойкость повышенная.
- Относительно устойчив к милдью.
- Виноград используется для приготовления высококачественных красных десертных вин.
Техническое особенности
Главным преимуществом сорта является его высокая урожайность, доходящая до 190 ц/га. Средний куст за год приносит около 8 кг ягод. Срок жизни этого растения около 5 лет.
Дойна имеет повышенную устойчивость к морозам, может переживать зиму без укрытия. Имеет высокий корневой иммунитет и групповую устойчивость к большинству полевых заболеваний, таким как серая гниль, милдью, филлоксера и оидиум. Степень поражения 1,5-2 балла. Склонен к сильной поражаемости от антракноза (5 баллов).
Кусты этого растения крайне рослые. Вызревание побегов удовлетворительное, более 70% от первоначальной посадки, длина побега в среднем 280см, вызревает примерно на 2/3 длины. Рекомендуется следующая формировка при посадке и питании 3х2 – кордон горизонтальной формы с двумя сторонами, располагающийся на высоком штамбе. Почву для этого куста лучше брать супесчаную и суглинистую (чернозем). Рекомендуется короткая обрезка лозы на 3-4 глазка.
Дойна является сортом позднего созревания, приносит первые плоды только к середине августа, через 150-160 дней после первого созревания почек, которое наблюдается только к концу апреля. Техническая зрелось такого урожая наступает во второй половине сентября.
Виноград дойна станет прекрасным сырьем для производства белого вина нейтрального вкуса, соков и вторичного винного продукта. Также превосходно употребляется в пищу в сыром виде. Сорт является универсальным и крайне урожайным, поэтому отлично подходит для выращивания как профессионалами, так и любителями винограда.




























